Downtown Development Plan

The Redevelopment Authority (RDA) recently completed their work on a Downtown Master Development Plan which will be utilized to aid in the creation of an active and dynamic environment with an emphasis on the redevelopment and utilization of vacant and underutilized properties. 

This master plan is intended to support and guide redevelopment of properties within the planning area (as illustrated on the map) and support the efforts identified in the Redevelopment District plan and Tax Increment District project plan.

Downtown Master Plan - Citizen Participation Plan

 
For the Downtown Master Plan to achieve its full potential, the direct engagement of citizens, business owners, landowners and visitors throughout the plan development is key.  The RDA encourages all members of the community to come share your thoughts to help develop a Community Driven Downtown Master Plan.  Click here to read the entire Citizen Participation Plan. 
 
The Redevelopment Authority has tasked a citizen steering committee composed of a number of varied and diverse stakeholders and representatives of the City of Shawano with driving the Downtown Master Plan.

The attached Downtown Redevelopment Steering Committee meeting overview provides a brief explanation of the upcoming meetings.

Steering Committee Members

Chad Kary
Starlyn Tourtillott
Charlie Harvey
Heather Paul
Jim Meyer
John Stang
Curt Preston
Christa Hansen

Downtown Shawano Master Plan Public Open House -
April 10, 2018

The final public open house was held on April 10, 2018, from 6:00-8:00 PM in the Community Room at Shawano City Hall (127 S. Sawyer Street, Shawano). The meeting was a final presentation of the plan on the part of City staff, public officials, and the consultant. Attendees will evaluate the plan’s strategies for how to address Downtown issues and take advantage of Downtown opportunities. A short presentation by the Steering Committee and City staff opened the meeting followed by presentation boards.

If you have any questions about the project or the planning process, please contact Eddie Sheppard by phone at (715)-526-3512 or email at esheppard@cityofshawano.com.

Thank you for your time and feedback!

Downtown Shawano Master Plan Public Meeting No. 1 -
November 16, 2017

During the first Public Planning meeting, much of the discussion was in regard to what the redevelopment focus should be as well as options for site design possibilities. 

Redevelopment ideas centered around blight elimination/demolition, making infrastructure improvements, targeting business recruitments and providing tax incentives to spur redevelopment. 

Those in attendance also ranked their "site design" priorities:

  1. Pedestrian experience and amenities
  2. Building Façade 
  3. Appropriate signage
  4. Parking lot design
  5. Building site setback/site position
  6. Landscaping

The public also ranked what the business development priorities should be and created a list of what they felt were "missing businesses" from the downtown area.

1.The City should put effort toward expanding existing businesses Downtown.    –Medium/High

2.The City should put effort toward attracting new businesses to Downtown.     –High

3.The City should put effort toward assisting with new business startups.       –High/medium

4.The City should lead the effort to improve the appearance of Downtown commercial areas.      –High/medium

5.The City should work to improve storefronts by providing grants and loans for façades.      –Medium/High

6.The City should offer financial incentives to grow existing businesses and attract new businesses to Downtown.  –Medium/High

7.Missing Businesses (types)

  • Outdoor restaurant
  • Wine bar/cafe
  • Quality tavern/live music
  • Specialty/clothing retail

Downtown Shawano Master Plan Public Meeting No. 2 -
January 24, 2018.

The City of Shawano held its second Downtown Shawano Master Plan Public Meeting on January 24, 2018.

Approximately 50 people attended this meeting to provide input on possible redevelopment sites throughout the Downtown area. 

Downtown Survey

Please take a moment to complete this survey regarding our downtown, the more input we receive the easier it will be to make sure we are providing the majority of you with the Development Plan you would like to see for your downtown.

Redevelopment Site Concepts

There were four main redevelopment areas that were discussed (as illustrated in the images below).

PM_2_Red_Sites_Locations-Print

Redevelopment Site Concepts

Redevelopment Concept - Site 1
Redevelopment Concept - Site 2
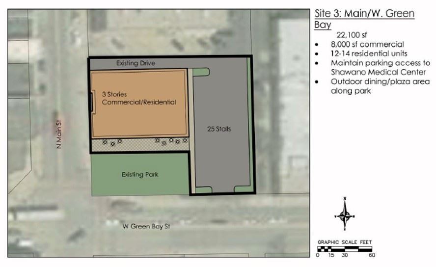
Redevelopment Concept - Site 3
Redevelopment Concept - Site 4

Downtown Plaza Concept

 
One of the ideas that the City of Shawano is currently exploring the idea of creating a Downtown Plaza to assist in the revitalization efforts for the Downtown area.

The first of many meetings was held on September 6, 2017 and was a Joint Meeting between the City of Shawano Common Council, Plan Commission, Park and Rec Commission, Park Builders Group, Redevelopment Authority, Shawano Industrial Commercial Development Committee, Business Improvement District, Shawano Downtown Business Association, and Chamber Board. This meeting allowed these Committees and the general public to hear more about the Plaza concept as well as discuss the options for the placement of the Splash Pad. The Power Point presentation which goes over the Plaza Concept in more detail as well as the minutes which recap the votes and opinions of these Committee and Commissions can be found at the bottom of this page.

The City of Shawano also held an Open House on October 3, 2017 to obtain further insight on this potential development option from residents and business owners alike. 

Click here to see a recap of the information collected at the Open House.
Flyer v2

Plaza Concept A

Plaza Concept A

Plaza Concept B

Plaza Concept B
Government Websites by CivicPlus®
Arrow Left Arrow Right
Slideshow Left Arrow Slideshow Right Arrow